Маслодобивната фабрика е разположена в Индустриалната зона на гр. Разград, на собствен урегулиран имот с площ 35 декара. Непосредствената близост до основната суровина за производство – районът е с богати традиции в отглеждането на зърнени и маслодайни култури, както и до работещия в града завод “Амилум”; – единствен производител на царевичен зародиш в страната, e предимство с пряко влияние върху себестойността на продукцията. Производственият капацитет на фабриката е 100 тона суровина на денонощие, има възможност за разширяване на производството. Фабриката е построена в периода 1995 – 1996 г. и е оборудвана със съвременни преси за добив на сурово олио на германската фирма “КРУП”, както и с оборудвана рафинерия /филтри на холандската фирма “Амафилтър”;/ и бутилиращ цех. Фабриката разполага и с административна сграда на два етажа, с оборудвана лаборатория.
Разполага с много добра складова база, вкл. механизиран и снабден с вентилационни системи склад за зърно, автоматизиран кантар и кантарно помещение, маслено стопанство от резервоари и цистерни за съхранение на сурово и рафинирано олио. Съществува възможност за разширяване и на складовата база. Фабриката се намира на 120 км. от Варна и на 60 км. от гр. Русе, което осигурява много добри условия за износ на продукцията зад граница. Градът е добре обезпечен с кадри и специалисти в областта на маслодобива.
Наред с добре поддържаните сграден фонд и машинно оборудване, допълнителни предимства са:
- липса на задължения към банки и др. кредитори;
- всички активи, вкл. земята, са собственост на продавача, няма неуредени съдебни и др. спорове, държавни и данъчни задължения;
- предприятието разполага със собствен автопарк, обслужващ производството - доставките на суровина и транспорта на готовата продукция;
- за нуждите на кадри, привлечени от други градове, са закупени два апартамента в гр. Разград – съответно 80 кв. м. жил. площ и 60 кв. м. жил. площ;
- фирмата не е ползвала финансиране от европейски и др. фондове и такава възможност може да бъде оползотворена в бъдеще.
Причини за временното преустановяване дейността на фабриката през 2007 г. – приоритети на собствениците в други области, семейни причини.
Описание на бизнеса:
Маслодобивно предприятие се намира в Западна индустриална зона на гр. Разград. Построено е през 1995-1996г. на собствен терен от 35 дка. Специализирано е в преработката на растителни масла и получаване на рафинирано олио. Предприятието произвежда слънчогледово и царевично олио на основата на модерна немска технология. Оборудвано е със съвременна технологична инсталация, производство на немската фирма “КРУП”, с производствен капацитет 100 тона суровина на денонощие. Рафинерията е оборудвана с филтри, производство на холандската фирма
“Амафилтър”, които са едни от най-модерните съоръжения от този вид.
С това техническо оборудване предприятието е едно от най-модерните в страната и Балканския регион. Благодарение на въведената съвременна технология, произвежданите масла са с отлични качества и показатели, а остатъчната масленост в експелера не превишава 8-9%.
Предприятието разполага с цех за бутилиране на готовата продукция в РЕТ бутилки. Освен бутилирано олио, на вътрешния и външния пазар се предлагат наливни сурови и рафинирани масла, както и висококачествен слънчогледов и царевичен експелер.
ОПИСАНИЕ НА ОБЕКТА
ЗЕМЯ
Недвижимият имот се намира в Западната промишлена зона на гр. Разград. Дворното място с площ 35 000 кв.м. съставлява урегулиран поземлен имот. Съседи на имота: оранжерии за цветя, черен път, река Бели Лом, бивш блок на ТКЗС.
Районът е обособен като индустриален с изградена инфраструктура за промишлени нужди. Парцелът е равнинен, с изградена инфраструктура: вътрешни пътища и площадки – асфалтови и бетонови, алеи, озеленяване, районно осветление. Ограден е с ограда с бетонов борд и метални пана.
Транспортната достъпност е много добра – има асфалтов път до имота, изграден е паркинг пред главния вход. Съществуващият портал е изграден по одобрен проект, съобразен с необходимостта от преминаване на товарни автомобили, обслужващи предприятието.
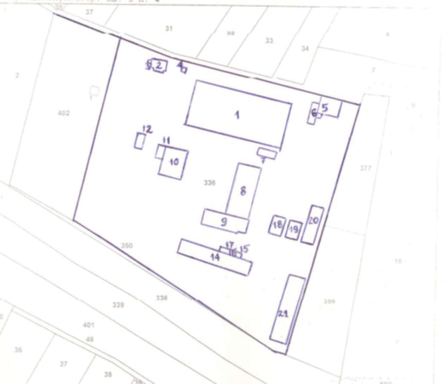
СГРАДИ – МАСИВНИ КОНСТРУКЦИИ И ПЛОЩАДКОВИ СЪОРЪЖЕНИЯ
СГРАДА 1 - СКЛАД ЗА СЛЪНЧОГЛЕДОВИ СЕМЕНА
Предназначена е за съхранение на слънчогледови семена. Складът е с размери 78/36 м. и е разделен на две със средна противопожарна стена от тухлена зидария. Конструкцията е сглобяема стоманобетонова, покрив – 2Т панели с двустранен наклон и външно отводняване и хидроизолация. Фасадата е оформена с мазилка върху панели и двукрили метални транспортни врати на напречните фасади. Ел. инсталации, вентилация.
Параметри на склада:
Застроена площ: 2853 кв.м.
Застроен обем: 29 100 куб.м.
СГРАДА 2 - ТРАФОПОСТ
Трафопост. Изпълнен е с масивна стоманобетонна конструкция. Покривът е стоманобетонна плоча с двустранен наклон и покритие от ламарина. Фасадата е оформена с пръскана мазилка, метални врати и жалузийни решетки. Ел. инсталации.
Параметри на трафопоста:
Застроена площ: 104 кв.м.
Застроен обем: 600 куб.м.
СГРАДА 3 - ТРАФОКУЛА
Масивна стоманобетонова конструкция, покрив – стоманобетонна плоча. Фасада – изпълнена с пръскана мазилка. Застроена е на площ от 6 кв.м. Ел. инсталации.
СГРАДА 4 - ВОДОЕМ
СГРАДА 5 - АДМИНИСТРАТИВНА СГРАДА
Двуетажна сграда, разположена е на входа на предприятието. Изпълнена е с масивна стоманобетонова конструкция, монолитно. Покривът е двускатен с покритие от керемиди. Фасадата е оформена с пръскана мазилка и видима зидария. Дограмата е дървена.
На първи етаж са разположени помещения пропуск, приемна на лаборатория, лаборатория, кафене, санитарен възел, а на втори етаж – канцеларии. Довършителни работи в сградата: под – мозайка (коридори, стълбище), мокет – канцеларии, теракотни плочи (санитарни възли); стени и тавани – латекс. Ел. инсталации, ВК инсталации.
Параметри на административната сграда:
Застроена площ: 231 кв.м.
Разгъната застроена площ: 462 кв.м.;
Застроен обем: 1500 куб.м.
СГРАДА 6 - АВТОКАНТАР
Автокантар 50 тона. Представлява навес над автокантара, метална конструкция с покритие от ламарина, със застроена площ 110 кв.м. Дължината на рампата за качване на кантара е 6 м. Шахтата на кантара е 3м./12 м. Измервателното устройство е в отделно помещение.
СГРАДА 7 - РАЗТОВАРИЩЕ ЗА СУРОВИНА
Представлява навес – разтоварище за слънчоглед с почистваща машина, хоризонтален и вертикален транспорт, разположен до склада за слънчогледови семена. Конструкцията е метална (тръбни колони), стоманобетонови надлъжни основи с надземен борд. Покривът е метална конструкция с покритие от ламарина. Застроен е на площ 85 кв.м.
СГРАДА 8 - ПРОИЗВОДСТВЕНО ХАЛЕ 1
Сградата е триетажна с размери 18 м. / 42 м. Състои се основно от лющачно пресово отделение и рафинерия, всяко с отделен вход и стълбище и вътрешна връзка. Строителната система е смесена: колони, греди и междуетажни плочи – монолитен стоманобетон, фасадни и цокълни панели, покрив – покривни панели с топло и хидроизолация и външно отводняване. Вътрешните стени са тухлени. Дограмата е метална и дървена.
Параметри на производственото хале:
Застроена площ: 770 кв.м.;
Разгъната застроена площ: 2030 кв.м. (съгласно проектна документация);
Застроен обем: 11 865 куб.м. (одобрена проектна документация).
На първи етаж от сградата са разположени: пресовъчно помещение; лющачно помещения; помещения за ел. табло, битов бойлер, рафинерия, хладилна инсталация, вакуум помпа, маслоуловител. Подовата настилка и мозайка, стени и тавани – латекс.
На втори етаж се намират: лющачно помещение, галерия, хидраторно, помещения за филтър преса, резервоар за топла вода, пералня. Подовата настилка е теракотни плочи и мозайка, стени – частична фаянсова облицовка и латекс, тавани – латекс.
На трети етаж – помещение за механичен утаител, бункер за слънчогледово семе, галерия, вентилаторно, рафинерия, помещение за бойлер за промишлени води. Подовата настилка е теракотни плочи и мозайка, стени и тавани – латекс.
Ел. инсталации, ВК инсталации.
СГРАДА 9 - ПРОИЗВОДСТВЕНО ХАЛЕ 2 И БИТОВА СГРАДА
Сградата е едноетажна, свързана с Производствено хале 1. Производствената част, посредством лека метална остъклена преградна стена е разделена на две помещения, предназначени за производство на пластмасови бутилки за масло и технологична линия за пълнене на бутилки. Южно от сградата са изградени товаро-разтоварна покрита рампа с височина 1.10 м. над терена и наклонена рампа за лек транспорт. Рампата е покрита с метална козирка.
Битовата част включва съблекални, умивални, тоалетни и душове.
Конструкцията на сградата е сглобяема стоманобетонова: колони, греди, фасадни и покривни 2Т панели. Вътрешните преградни стени на битовите помещения са тухлена зидария. Прозорците са метални тип СЕП с отваряеми части.
Ел. инсталации, ВК инсталации.
Параметри на производствено хале 2:
Застроена площ: 456 кв.м.;
Застроен обем: 2736куб.м.
СГРАДА 10 - КОТЕЛНО И РЕМОНТНО-МЕХАНИЧЕН ЦЕХ
Размерите на сградата са 18м/24 м. Котелното (18м/18м) е на два етажа странично с едноетажна част в помещението на котлите. Стълбите към втори етаж са метални. На първи етаж са разположени котел, ХВО, стая на огняра, санитарен възел, лаборатория, помещение ел. табло, помпено, абонатна, резервоар и склад. На втори етаж са резервоари за мазут и нафта, помещение с бункер. Ремонтно механичния цех е с размери 6м/18 м.
Носещата конструкция на сградата е сглобяема стоманобетонна. Покривът е от 2Т панели. Преградните стени са тухлени. Дограмата е метална, прозорци – тип СЕП с отваряеми части.
Ел. инсталации, ВК инсталации.
Параметри на Котелно и ремонтно механичен цех:
Застроена площ: 447 кв.м.;
Разгъната застроена площ: 663кв.м.;
Застроен обем: 3130 куб.м.
СГРАДА 11 – ПРИСТРОЙКА КЪМ КОТЕЛНО И РЕМОНТНО-МЕХАНИЧЕН ЦЕХ
Масивна сграда – пристройка от запад към котелно и ремонтно механичен цех. Изпълнена е със стоманобетонова носеща конструкция, покрив – метална конструкция с покритие от ламарина и тухлени оградни стени. Застроена е на площ от 69 кв.м.
СГРАДА 12 – ДЕПО ЗА СЛЪНЧОГЛЕДОВИ ЛЮСПИ
Едноетажна складова постройка, в която ще се складират излишните количества слънчогледови люспи. Разположена е източно от сграда котелно с РМЦ. Стенното ограждане е от стоманобетонови панели до кота +3.10 м. и стоманобетонови колони. Над тази височина до 6.70 м., бетонните колони са наставени с метални и ограждането е от ЛТ ламарина. Покривът е метална конструкция (стоманени ферми и столици) с покритие от ЛТ ламарина. Подът на склада е бетонова настилка. Ел.инсталации, ПП водопровод, вентилация.
Параметри на депо за слънчогледови люспи:
Застроена площ: 75 кв.м.;
Застроен обем: 500 куб.м.
СГРАДА 14 - СКЛАД
Сградата представлява склад, бивше плодохранилище. Складът е разположен в южната част на дворното място. Изпълнен е с метална носеща и покривна конструкция, с оградни стени от леки панели ипокритие от ЛТ ламарина. Ел.инсталации.
Параметри на сградата:
Застроена площ: 691кв.м.;
Застроен обем: 3455 куб.м.
СГРАДИ 15, 16, 17 - ПРИСТРОЙКИ КЪМ СГРАДА 13
Представляват едноетажни пристройки към Сграда 14, изградени от север. Изпълнени са с тухлени оградни стени, и покритие от ламарина. Застроени са на площ съответно 18 кв.м., 12, кв.м. и 25 кв.м.
СГРАДИ 18, 19, 20 – СКЛАДОВЕ МЕТАЛНИ
Три броя еднотипни складови сгради, изпълнени с метална дъговидна конструкция, „Холандски” тип, разположени в югоизточната част на дворното място. Напречните оградни стени са изпълнени с тухлена зидария. Достъпът е от юг чрез метални двукрили гаражни врати. Настилката е бетонова. Застроени са на площ съответно 148, кв.м., 154 кв.м. и 305 кв.м.
СГРАДА 21 - СКЛАД ЗА КЮСПЕ
Разположена е в крайната югоизточна част на дворното място. Въведена е в експлоатация с Разрешение за ползване № 2/30.01.2003 г. Осовите размери насградата са 54 м./12 м. Изпълнена със смесена конструкция: стени до 3 м височина – монолитен стоманобетон и ЛТ ламарина върху метална конструкция до покрив. Покривът е метална конструкция с покритие от ЛТ ламарина. Състои се от едно общо помещение. Подовата настилка е бетонова. Функционално предназначение: Складът се пълни механизирано с кюспе
чрез продължение на редлера на съществуващия склад.
Инсталации: Ел. инсталация, ПП водопровод, Вентилация.
Параметри на сградата:
Застроена площ: 699кв.м.;
Застроен обем: 5243 куб.м.
Цена: По договаряне. Възможности за разсрочено плащане и съдружие.
Продажба
Невалидна оферта
Маслодобивна фабрика в Разград
гр. РазградФабрика със собствен урегулиран терен от 35 дка
Характеристики на имота
Тип на имота
Фабрика и индустрия, Бизнеси, Цех, Промишлено хале, Промишлена сграда
Реф. номер
BFS 0492
Площ
0.00 м2
Състояние
добро
Тип строителство
Тухла
Двор
35000 м2
Местоположение
гр. РазградУдобства в района
- Детска градина на 436 м. (6 мин.)
- Училище "ОУ Васил Левски" на 391 м. (5 мин.)
- Училище "ЦДГ № 7 “В.Левски”" на 444 м. (6 мин.)
- Колеж "ПМГ Академик Н. Обрешков" на 312 м. (4 мин.)
- Болница "МБАЛ "СВ. ИВАН РИЛСКИ" - РАЗГРАД АД" на 407 м. (5 мин.)
- Болница на 893 м. (11 мин.)
- Хранителен магазин на 934 м. (12 мин.)
- Супермаркет на 411 м. (5 мин.)
- Супермаркет на 485 м. (6 мин.)
- Зоо магазин "Зоомагазин" на 836 м. (11 мин.)
- Банка "Пиреос Банк" на 741 м. (9 мин.)
- Банка "Райфайзенбанк" на 889 м. (11 мин.)
- Аптека на 369 м. (5 мин.)
- Поща/Куриер "Speedy" на 604 м. (8 мин.)
- Поща/Куриер на 793 м. (10 мин.)
- Ветеринарен лекар на 489 м. (6 мин.)
- Ресторант "Лес" на 82 м. (1 мин.)
- Ресторант на 230 м. (3 мин.)
- Кафене "31 Coffee Shop" на 561 м. (7 мин.)
- Спортен терен "Колудрум" на 140 м. (2 мин.)
- Тенис корт на 324 м. (4 мин.)
- Театър на 763 м. (10 мин.)
- Театър "ДТ "АНТОН СТРАШИМИРОВ" - РАЗГРАД" на 1.0 км. (13 мин.)
- Музей на 221 м. (3 мин.)
- Музей "Етнографски музей" на 712 м. (9 мин.)
- Парк на 140 м. (2 мин.)
- Паркинг на 58 м. (1 мин.)
- Бензиностанция на 654 м. (8 мин.)
- Автомивка на 730 м. (9 мин.)
- Автосервиз на 1.2 км. (15 мин.)
- Библиотека "Регионална библиотека професор Боян Пенев" на 764 м. (10 мин.)
УЧЕБНИ ЗАВЕДЕНИЯ
ЛЕЧЕБНИ ЗАВЕДЕНИЯ
ПАЗАРУВАНЕ
УСЛУГИ
ЗАВЕДЕНИЯ
СПОРТ И СВОБОДНО ВРЕМЕ
ПРИРОДА И ЗАБЕЛЕЖИТЕЛНОСТИ
АВТОМОБИЛНИ УСЛУГИ
ОБЩЕСТВЕНИ СГРАДИ И ИНСТИТУЦИИ
Изпратете запитване
Тази оферта е невалидна
Моля свържете се с нас, за да ви предложим други оферти, които отговарят на вашите изисквания.
Тази оферта е невалидна
Моля свържете се с нас, за да ви предложим други оферти, които отговарят на вашите изисквания.
*/ ?>
ЗА ПОВЕЧЕ ИНФОРМАЦИЯ
Реф. номер: BFS 0492
При обаждане, моля цитирайте референтния номер на имота.