Парцел в регулация- УПИ XI-2631, с виза за проектиране на еднофамилна къща, който се намира в село Бистрица, на улиците „Цар Асенов път” и „Никола Крушкин”. Разположен е на пътя за Панчарево, в тих и спокоен район, с прекрасни гледки към града и зеленината в околността.
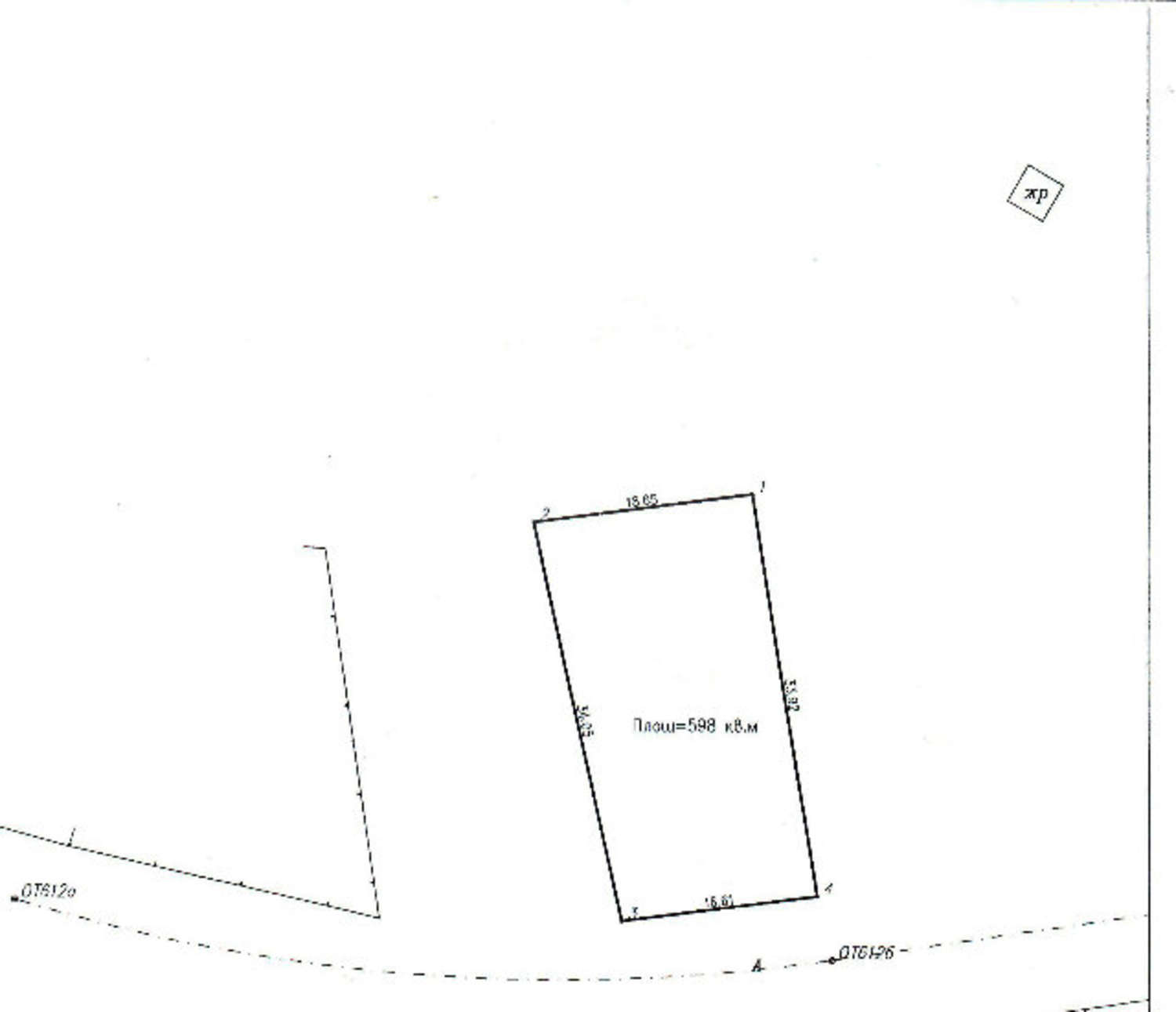
Парцелът е с асфалтов достъп, като в съседство са разположени луксозни еднофамилни къщи. Имотът е с правилна форма, с лице 16,61 метра към улица „Цар Асенов път”. Прокарани са комуникации- ток, вода и газ. Разполага с изготвен геоложки доклад за почвата.
Параметри на застрояване:
• Кинт- 1,3
• Плътност- 40 %
• Кота корниз- 10 метра
• максимално РЗП на еднофамилна къща 700 кв.м.
Бистрица е спокоен и тих район, в подножието на планина Витоша. Обитателите му се радват на свеж планински въздух и прекрасни гледки към града и заобикалящата зеленина.
ПРОДАДЕН
Парцел в регулация в село Бистрица
с. БистрицаПарцел с виза за еднофамилна къща
Характеристики на имота
Тип на имота
Парцел в регулация
Реф. номер
Sve 1144
Площ
598.00 м2
Състояние
прочетете текста
Двор
не
Местоположение
с. БистрицаУдобства в района
- Автобусна спирка "СЕЛО БИСТРИЦА" на 435 м. (6 мин.) - Автобус No: 314, 98, 69, 70
- Детска градина "15 ЦДГ Щурче" на 602 м. (8 мин.)
- Училище "192 СОУ Христо Ботев" на 779 м. (10 мин.)
- Хранителен магазин "Боряна М" на 260 м. (4 мин.)
- Супермаркет "ПроМаркет" на 528 м. (7 мин.)
- Аптека на 427 м. (6 мин.)
- Поща/Куриер "Пощенска станция София 44" на 513 м. (7 мин.)
- Салон за красота "Рая" на 633 м. (8 мин.)
- Ресторант "Къри" на 355 м. (5 мин.)
- Ресторант "Бистришка Скара" на 507 м. (7 мин.)
- Плувен басейн на 606 м. (8 мин.)
- Парк на 269 м. (4 мин.)
- Паркинг на 443 м. (6 мин.)
- Бензиностанция на 340 м. (5 мин.)
- Библиотека "Читалище "Св. Цар Борис I - 1909"" на 487 м. (6 мин.)
ТРАНСПОРТ
УЧЕБНИ ЗАВЕДЕНИЯ
ПАЗАРУВАНЕ
УСЛУГИ
ЗАВЕДЕНИЯ
СПОРТ И СВОБОДНО ВРЕМЕ
ПРИРОДА И ЗАБЕЛЕЖИТЕЛНОСТИ
АВТОМОБИЛНИ УСЛУГИ
ОБЩЕСТВЕНИ СГРАДИ И ИНСТИТУЦИИ
Изпратете запитване
Този имот е продаден
Моля свържете се с нас, за да ви предложим други оферти, които отговарят на вашите изисквания.
125 000 €
(244 478,75 лв.)
- €
- $
- £
Този имот е продаден
Моля свържете се с нас, за да ви предложим други оферти, които отговарят на вашите изисквания.
*/ ?>
ЗА ПОВЕЧЕ ИНФОРМАЦИЯ
Реф. номер: Sve 1144
При обаждане, моля цитирайте референтния номер на имота.

Изпратете запитване
Вижте още имоти на ул. Тополите:
- Парцели в регулация на ул. Тополите
- Апартаменти (различни типове) на ул. Тополите
- Къщи на ул. Тополите
- Офиси на ул. Тополите
- Магазини на ул. Тополите
- Земи на ул. Тополите
- Всички имоти на ул. Тополите