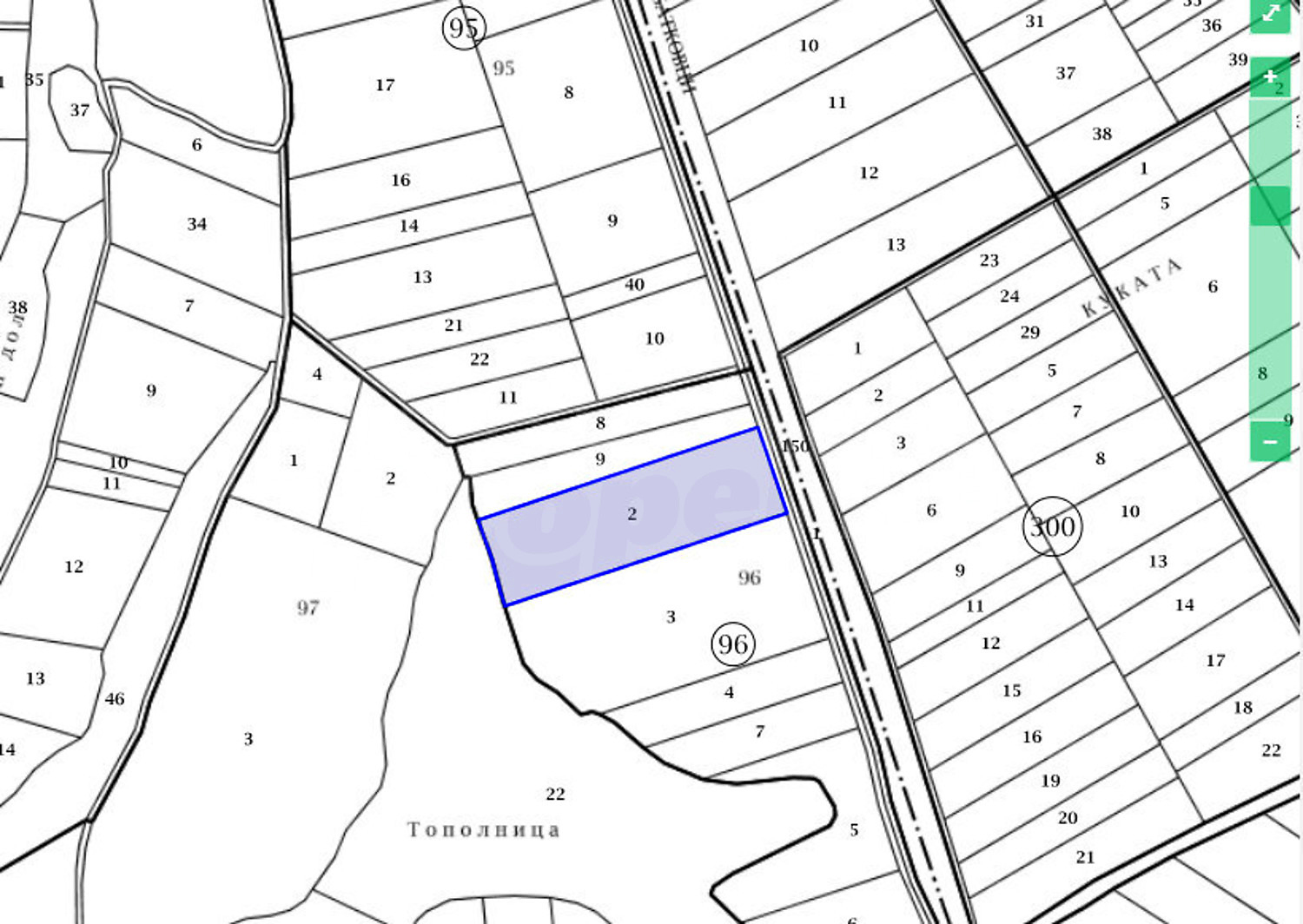
Разгледайте нашето ново предложение за покупка на голям парцел земеделска земя в местност Батковското на град Костинброд, на 350 метра от разклона за с. Драговищица. Имотът се характеризира с отлична комуникативност, с лице от 70 метра на Републикански път II-81. Има отличен потенциал за успешна реализация на редица инвестиционни проекти.
Парцелът е равен с площ 14.997 дка. Има правилна форма, 220/70 м. Представлява земеделска територия, категория 5.
Костинброд е град в Западна България, Софийска област, построен в Софийската котловина, в близост до градовете София (19 км в северозападна посока), Божурище (10 км) и Сливница. Разполага с разнообразие от съврeменни удобства. През него минават две реки, притоци на река Искър. В района има минерални води от римско време и останки от римска баня, видни и до днес.
Оглед на имота
Можем да организираме оглед на имота в удобно за вас време. За целта, свържете се с отговорния за офертата брокер и му кажете кога бихте искали да направите оглед.
Резервация на имота
Имотът може да бъде резервиран и свален от продажба със заплащане на депозит, след което се прекратява провеждането на огледи с други купувачи и започва подготовка на документите за сключване на предварителен и окончателен договор. Свържете се с отговорния брокер за този имот за подробна информация относно процедурата на покупка и начините за плащане.
Допълнителни услуги и следпродажбено обслужване
Ние сме реномирана компания и ще бъдем с вас не само по време на покупката, но и след това, осигурявайки ви допълнителни услуги по ваше изискване с цел пълноценно и безпроблемно ползване на новозакупения имот. Услугите, които можем да предложим, включват застраховка на движимо и недвижимо имущество, застраховка живот, медицинско и автомобилно застраховане, строителни и ремонтни дейности, обзавеждане, юридически и счетоводни услуги и др.
Продажба
Голям парцел земеделска земя в Костинброд
гр. КостинбродПарцел за инвестиция с правилна форма и лице на Републикански път
Характеристики на имота
Тип на имота
Земя, Земеделска земя, Парцел за инвестиция
Реф. номер
Sfa 80116
Площ
14997.00 м2
Състояние
прочетете текста
Двор
не
Местоположение
гр. КостинбродУдобства в района
- Парк "Манастир "Св. Архангел Михаил"" на 1.1 км. (13 мин.)
- Църква на 1.1 км. (14 мин.)
ПРИРОДА И ЗАБЕЛЕЖИТЕЛНОСТИ
ОБЩЕСТВЕНИ СГРАДИ И ИНСТИТУЦИИ
Изпратете запитване
232 000 €
(453 752,56 лв.)
- €
- $
- £
Дължима комисиона
*/ ?>
ЗА ПОВЕЧЕ ИНФОРМАЦИЯ
Реф. номер: Sfa 80116
При обаждане, моля цитирайте референтния номер на имота.
