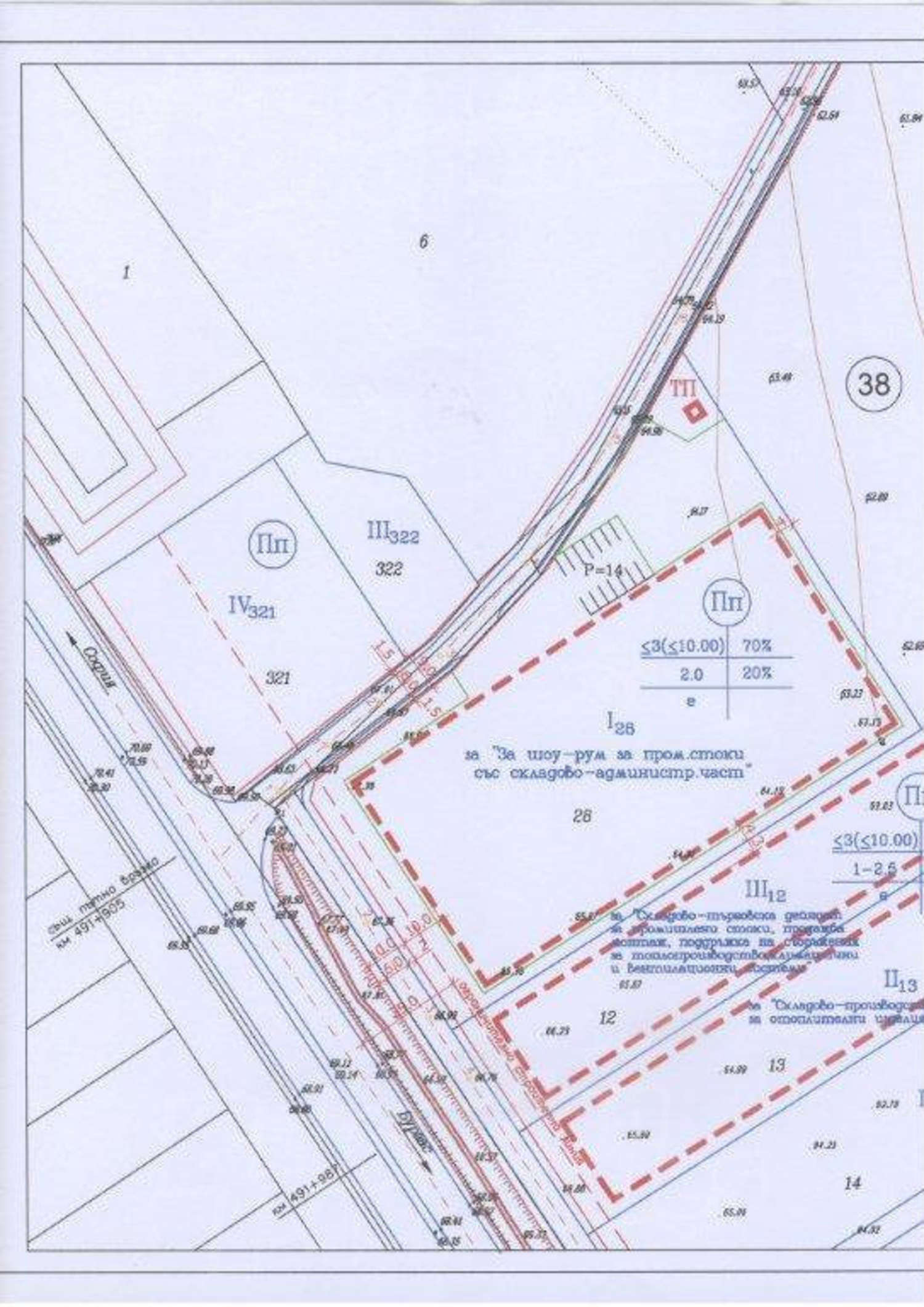
Предлага се за продажба поземлен участък за промишлено предназначение близо до гр.Бургас, на разстояние до града около 5км. Участъкът е разположен на първа линия от автомагистрала София-Бургас и има лице към автомагистралата, а също така граничи с второстепенен път -направена е отбивка от автомагистралата.
Всички документи за продажба са изготвени.
Предназначение на парцела - строителство на магазин с административно–складова част, производство, офисно-административна сграда (УПИ).
Площ на участъка - 9939 кв.м. 
Разрешена площ за застрояване – 7000 кв.м.
Разрешена площ на сградата (РЗП) - 20000 кв.м. 
Височина на сградата – до 10 м.
									
									
								Характеристики на имота
										
											Тип на имота										
										
											Земя, Парцел в регулация, Промишлен парцел, Парцел за инвестиция										
									
									
										
											Реф. номер										
										
											BPS 485										
									
									
										
											Площ										
										
											9939.00 м2										
									
																		
										
											Състояние										
										
											прочетете текста										
									
									
																			
											
												Двор											
											
												не											
										
																		
									Още информация за Земя за продажба в Бургас:
																			
											
											План на имота
										
										
																			
										Снимки от въздуха
									
									
																		
										
										Общ план
									
									
									
																		
										360° изглед
									
									
									
									
									
										
										Инфо пакет
									
									
							Референтен номер: BPS 485
Местоположение
гр. Бургас- Най-близко разположен град Бургас, около 5 км.
Удобства в района
- Паркинг на 857 м. (11 мин.)
- Бензиностанция "Rompetrol" на 854 м. (11 мин.)
АВТОМОБИЛНИ УСЛУГИ
Изпратете запитване
													Тази оферта е невалидна
													
																						Моля свържете се с нас, за да ви предложим други оферти, които отговарят на вашите изисквания.
														Тази оферта е невалидна
														
																								Моля свържете се с нас, за да ви предложим други оферти, които отговарят на вашите изисквания.
																																												   */ ?>
											
											
													ЗА ПОВЕЧЕ ИНФОРМАЦИЯ
													Реф. номер: BPS 485
													
												
											При обаждане, моля цитирайте референтния номер на имота.
 
																							 										Изпратете запитване
Още имоти в гр. Бургас
 
													
														Продажба
																											
													
																													
																ново															
															
																																										
														
															
																Лукс															
														
														
														
														
														
													
																											
													
														Висок клас жилищен проект с топла връзка с Grand Plaza Mall													
													
														гр. Бургас														, кв. "Хоризонт"													
													
														Жилища в модерен комплекс от затворен тип в кв. Хоризонт													
													
														Висок клас жилищен проект с топла връзка с Grand Plaza Mall - Жилища в модерен комплекс от затворен тип в кв. Хоризонт													
												
											
															от 53 882 €(от 105 384,03 лв.)
														
														
															(968 €/м2 - 1 521 €/м2)(1 893,24 лв./м2 - 2 974,82 лв./м2)Площ: 37.47 - 270.48 м2 
															
															
														
														
														 
															
																
																	Павел Раванов																
																
																	Старши брокер, Бургас																
															
														
													 
													
														Продажба
																											
													
																													
																ново															
															
																																										
														
														
														
														
														
													
																											
													
														Къща с хубав двор и басейн край Бургас													
													
														с. Брястовец																											
													
														Двуетажна къща с панорамна гледка – тишина, зеленина и уют													
													
														Къща с хубав двор и басейн край Бургас - Двуетажна къща с панорамна гледка – тишина, зеленина и уют													
												
											 
													
														Продажба
																											
													
																													
																ново															
															
																																										
														
															
																Лукс															
														
														
														
														
														
													
																											
													
														Апартамент с две спални във висок клас комплекс до Grand Plaza Mall													
													
														гр. Бургас														, кв. "Хоризонт"													
													
														Тристайно жилище с комплекс с много удобства в Бургас													
													
														Апартамент с две спални във висок клас комплекс до Grand Plaza Mall - Тристайно жилище с комплекс с много удобства в Бургас													
												
											 
													
														Продажба
																											
													
																													
																ново															
															
														Хит																												
														
															
																Лукс															
														
														
														
														
														
													
																											
													
														Двустайни, тристайни и четиристайни морски апартаменти в кв. Хоризонт													
													
														гр. Бургас														, кв. "Хоризонт"													
													
														Нова жилищна сграда до Университет "Проф. д-р Асен Златаров"													
													
														Двустайни, тристайни и четиристайни морски апартаменти в кв. Хоризонт - Нова жилищна сграда до Университет "Проф. д-р Асен Златаров"													
												
											
															от 81 452 €(от 159 306,27 лв.)
														
														
															(500 €/м2 - 1 500 €/м2)(977,92 лв./м2 - 2 933,75 лв./м2)Площ: 0.00 - 402.76 м2 
															
															
														
														
														 
															
																
																	Георги Иванов																
																
																	Брокер, Бургас																
															
														
													 
													
														Продажба
																											
													
																													
																ново															
															
																																										
														
															
																Лукс															
														
														
														
														
														
													
																											
													
														Piccadilly Residence — Новото лице на градския лукс и модерен живот													
													
														гр. Бургас														, кв. "Зорница"													
													
														Топ проект с впечатляваща визия, високо качество и стратегическа локация													
													
														Piccadilly Residence — Новото лице на градския лукс и модерен живот - Топ проект с впечатляваща визия, високо качество и стратегическа локация													
												
											
															от 124 542 €(от 243 582,98 лв.)
														
														
															(1 800 €/м2 - 2 400 €/м2)(3 520,49 лв./м2 - 4 693,99 лв./м2)Площ: 62.73 - 127.37 м2 
															
															
														
														
														 
															
																
																	Георги Иванов																
																
																	Брокер, Бургас																
															
														
													 
													
														Продажба
																											
													
																													
																ново															
															
																																										
														
														
														
														
														
													
																											
													
														Двустаен апартамент в ж.к Славейков в близост до парка													
													
														гр. Бургас														, кв. "Славейков"													
													
														Топло жилище с частично обзавеждане в поддържан вход													
													
														Двустаен апартамент в ж.к Славейков в близост до парка - Топло жилище с частично обзавеждане в поддържан вход													
												
											 
													
														Продажба
																											
													
																													
																ново															
															
																																										
														
														
														
														
														
													
																											
													
														Студио в нова модерна сграда в кв. Братя Миладинови 													
													
														гр. Бургас														, кв. "Братя Миладинови"													
													
														Отлична инвестиция и локация близо до парк													
													
														Студио в нова модерна сграда в кв. Братя Миладинови  - Отлична инвестиция и локация близо до парк													
												
											 
													
														Продажба
																											
													
																													
																ново															
															
																																										
														
														
														
														
														
													
																											
													
														Двуетажна къща с двор до центъра на кв. Банево, Бургас													
													
														гр. Бургас														, кв. "Банево"													
													
														Къща на калкан с потенциал до спирка на градски транспорт, магазини, учебни заведения													
													
														Двуетажна къща с двор до центъра на кв. Банево, Бургас - Къща на калкан с потенциал до спирка на градски транспорт, магазини, учебни заведения													
												
											 
													
														Продажба
																											
													
																													
																ново															
															
																																										
														
														
														
														
														
													
																											
													
														Добре разработен търговски обект в ж.к. Меден рудник – отлична инвестиция с утвърден бизнес													
													
														гр. Бургас														, кв. "Меден рудник - зона Г"													
													
														Магазин на комуникативно място, работещ успешно от години													
													
														Добре разработен търговски обект в ж.к. Меден рудник – отлична инвестиция с утвърден бизнес - Магазин на комуникативно място, работещ успешно от години													
												
											 
													
														Продажба
																											
													
																													
																ново															
															
																																										
														
														
														
														
														
													
																											
													
														Двустаен апартамент в Гранд Плаза Резиденс Бургас													
													
														гр. Бургас														, кв. "Хоризонт"													
													
														Жилище без довършителни работи с двор в сграда ново строителство													
													
														Двустаен апартамент в Гранд Плаза Резиденс Бургас - Жилище без довършителни работи с двор в сграда ново строителство													
												
											 
													
														Продажба
																											
													
													
														Нов жилищен проект в кв. Крайморие 													
													
														гр. Бургас														, кв. "Крайморие"													
													
														Комфортни двустайни апартаменти за целогодишно живеене на 400 м от плажа													
													
														Нов жилищен проект в кв. Крайморие  - Комфортни двустайни апартаменти за целогодишно живеене на 400 м от плажа													
												
											
															от 93 315 €(от 182 508,28 лв.)
														
														
															(1 500 €/м2)(2 933,75 лв./м2)Площ: 62.21 - 71.35 м2 
															
															
														
														
														 
															
																
																	Павел Раванов																
																
																	Старши брокер, Бургас																
															
														
													 
													
														Продажба
																											
													
													
														Последен тристаен апартамент в сграда без такса поддръжка в ж.к. Славейков													
													
														гр. Бургас														, кв. "Славейков"													
													
														Тристаен апартамент във висок клас сграда с отличителна архитектура пред Акт 15													
													
														Последен тристаен апартамент в сграда без такса поддръжка в ж.к. Славейков - Тристаен апартамент във висок клас сграда с отличителна архитектура пред Акт 15													
												
											
															от 135 000 €(от 264 037,05 лв.)
														
														
															(1 651 €/м2)(3 228,23 лв./м2)Площ: 81.79 - 81.79 м2 
															
															
														
														
														 
															
																
																	Павел Раванов																
																
																	Старши брокер, Бургас																
															
														
													 
													
														Продажба
																											
													
													
														Модерни еднофамилни къщи с Акт 14 и предпочитана локация в Бургас													
													
														гр. Бургас														, кв. "Крайморие"													
													
														Новостроящ се жилищен комплекс от къщи с двор и две паркоместа в кв. Крайморие, на 500 м от плажа 													
													
														Модерни еднофамилни къщи с Акт 14 и предпочитана локация в Бургас - Новостроящ се жилищен комплекс от къщи с двор и две паркоместа в кв. Крайморие, на 500 м от плажа 													
												
											
															от 275 000 €(от 537 853,25 лв.)
														
														
															(1 389 €/м2 - 1 439 €/м2)(2 716,65 лв./м2 - 2 814,44 лв./м2)Площ: 198.00 - 198.00 м2 
															
															
														
														
														 
															
																
																	Павел Раванов																
																
																	Старши брокер, Бургас																
															
														
													 
													
														Продажба
																											
													
													
														Нова модерна сграда в сърцето на Бургас – район Трапезица													
													
														гр. Бургас														, кв. "Братя Миладинови"													
													
														Съвременен жилищен проект с функционален дизайн и отлично местоположение													
													
														Нова модерна сграда в сърцето на Бургас – район Трапезица - Съвременен жилищен проект с функционален дизайн и отлично местоположение													
												
											
															от 98 798 €(от 193 232,09 лв.)
														
														
															(1 400 €/м2 - 1 950 €/м2)(2 738,16 лв./м2 - 3 813,87 лв./м2)Площ: 69.58 - 81.04 м2 
															
															
														
														
														 
															
																
																	Павел Раванов																
																
																	Старши брокер, Бургас																
															
														
													 
													
														Наем
																											
													
														
																																										
														
															
																Лукс															
														
														
														
														
														
													
																											
													
														Двустаен апартамент на първа линия с морска панорама в Сарафово													
													
														гр. Бургас														, кв. "Сарафово"													
													
														Бутиков имот под наем в нова луксозна сграда с директен достъп до плажа													
													
														Двустаен апартамент на първа линия с морска панорама в Сарафово - Бутиков имот под наем в нова луксозна сграда с директен достъп до плажа													
												
											 
													
														Продажба
																											
													
													
														Трапезица Резиденс - нов жилищен комплекс с прекрасни гледки в Бургас 													
													
														гр. Бургас														, кв. "Братя Миладинови"													
													
														Студиа, жилища с 1, 2 или 3 спални с лесен достъп до централните части на Бургас													
													
														Трапезица Резиденс - нов жилищен комплекс с прекрасни гледки в Бургас  - Студиа, жилища с 1, 2 или 3 спални с лесен достъп до централните части на Бургас													
												
											
															от 81 160 €(от 158 735,16 лв.)
														
														
															(1 799 €/м2 - 2 662 €/м2)(3 518,54 лв./м2 - 5 206,42 лв./м2)Площ: 45.09 - 234.48 м2 
															
															
														
														
														 
															
																
																	Павел Раванов																
																
																	Старши брокер, Бургас																
															
														
													 
													
														Продажба
																											
													
														
																																										
														
															
																Лукс															
														
														
														
														
														
													
																											
													
														Модерен жилищен комплекс в сърцето на града – комфорт, сигурност и стил без компромиси													
													
														гр. Бургас														, кв. "Братя Миладинови"													
													
														Светли и просторни апартаменти с 1, 2 или 3 спални на комуникативно място в Бургас													
													
														Модерен жилищен комплекс в сърцето на града – комфорт, сигурност и стил без компромиси - Светли и просторни апартаменти с 1, 2 или 3 спални на комуникативно място в Бургас													
												
											
															от 119 280 €(от 233 291,40 лв.)
														
														
															(1 700 €/м2 - 2 839 €/м2)(3 324,91 лв./м2 - 5 552,60 лв./м2)Площ: 68.01 - 134.81 м2 
															
															
														
														
														 
															
																
																	Павел Раванов																
																
																	Старши брокер, Бургас																
															
														
													 
													
														Продажба
																											
													
													
														Сграда с модерна визия и отлична архитектура													
													
														гр. Бургас														, кв. "Меден рудник - зона В"													
													
														Последни двустайни апартаменти в сграда намираща се в най-бързоразвиващия се комплекс в град Бургас													
													
														Сграда с модерна визия и отлична архитектура - Последни двустайни апартаменти в сграда намираща се в най-бързоразвиващия се комплекс в град Бургас													
												
											
															от 82 000 €(от 160 378,06 лв.)
														
														
															(1 262 €/м2 - 1 371 €/м2)(2 468,26 лв./м2 - 2 681,44 лв./м2)Площ: 62.00 - 65.00 м2 
															
															
														
														
														 
															
																
																	Павел Раванов																
																
																	Старши брокер, Бургас																
															
														
													 
													
														Продажба
																											
													
													
														Четиристаен апартамент в кв. Меден Рудник зона А													
													
														гр. Бургас														, кв. "Меден рудник - зона А"													
													
														Голям апартамент с панорамна гледка на висок етаж													
													
														Четиристаен апартамент в кв. Меден Рудник зона А - Голям апартамент с панорамна гледка на висок етаж													
												
											 
													
														Продажба
																											
													
													
														Новoстрояща се жилищна сграда в ж.к. Зорница, Бургас													
													
														гр. Бургас														, кв. "Зорница"													
													
														Двустайни и тристайни апартаменти без такса поддръжка на 600 м от морето													
													
														Новoстрояща се жилищна сграда в ж.к. Зорница, Бургас - Двустайни и тристайни апартаменти без такса поддръжка на 600 м от морето													
												
											
															от 220 638 €(от 431 530,42 лв.)
														
														
															(1 800 €/м2 - 1 930 €/м2)(3 520,49 лв./м2 - 3 774,75 лв./м2)Площ: 114.32 - 134.22 м2 
															
															
														
														
														 
															
																
																	Павел Раванов																
																
																	Старши брокер, Бургас																
															
														
													 
													
														Продажба
																											
													
													
														Апартамент на три нива до Морската градина в Бургас 													
													
														гр. Бургас														, кв. "Възраждане"													
													
														Жилище с 4 спални, избено помещение и гараж в кв. Възраждане 													
													
														Апартамент на три нива до Морската градина в Бургас  - Жилище с 4 спални, избено помещение и гараж в кв. Възраждане 													
												
											 
													
														Продажба
																											
													
													
														Модерна жилищна сграда в ж.к Зорница													
													
														гр. Бургас														, кв. "Зорница"													
													
														Двустайни и тристайни апартаменти със спокойна жилищна среда в район с отлична инфраструктура													
													
														Модерна жилищна сграда в ж.к Зорница - Двустайни и тристайни апартаменти със спокойна жилищна среда в район с отлична инфраструктура													
												
											
															от 141 592 €(от 276 929,88 лв.)
														
														
															(800 €/м2 - 2 300 €/м2)(1 564,66 лв./м2 - 4 498,41 лв./м2)Площ: 61.56 - 323.51 м2 
															
															
														
														
														 
															
																
																	Георги Иванов																
																
																	Брокер, Бургас																
															
														
													 
													
														Продажба
																											
													
													
														Новострояща се жилищна сграда в кв. Сарафово													
													
														гр. Бургас														, кв. "Сарафово"													
													
														Различен тип модерни апартаменти на 500 м от плажа													
													
														Новострояща се жилищна сграда в кв. Сарафово - Различен тип модерни апартаменти на 500 м от плажа													
												
											
															от 84 512 €(от 165 291,10 лв.)
														
														
															(660 €/м2 - 1 250 €/м2)(1 290,85 лв./м2 - 2 444,79 лв./м2)Площ: 67.61 - 197.85 м2 
															
															
														
														
														 
															
																
																	Павел Раванов																
																
																	Старши брокер, Бургас																
															
														
													 
													
														Продажба
																											
													
													
														Нов проект за жилищна сграда в гр. Бургас, ж.к. "Меден рудник"													
													
														гр. Бургас														, кв. "Меден рудник - зона Д"													
													
														Новострояща се сграда до Кауфланд Меден рудник зона Д													
													
														Нов проект за жилищна сграда в гр. Бургас, ж.к. "Меден рудник" - Новострояща се сграда до Кауфланд Меден рудник зона Д													
												
											
															50 950 €(99 649,54 лв.)
														
														
															(890 €/м2 - 950 €/м2)(1 740,69 лв./м2 - 1 858,04 лв./м2)Площ: 36.91 м2 
															
															
														
														
														 
															
																
																	Павел Раванов																
																
																	Старши брокер, Бургас																
															
														
													 
													
														Продажба
																											
													
														
																																										
														
															
																Лукс															
														
														
														
														
														
													
																											
													
														Тристаен апартамент на 350 метра от Централната Улица													
													
														гр. Приморско																											
													
														Обзаведен апартамент с огромна тераса сред зеленина в Приморско													
													
														Тристаен апартамент на 350 метра от Централната Улица - Обзаведен апартамент с огромна тераса сред зеленина в Приморско													
												
											Вижте още имоти в град Бургас:
						
						Абонирайте се за нашия канал					
				 
		 
							 
									 
									 
									 
									 
									 
									 
									 
									 
									 
									