Контакти Контакти
0
Здравейте,
Любими имоти (0)
Запазени търсения
Избрани за Вас
Известия
Абонаменти
Настройки
Изход
Затвори

Удобства в района

    ТРАНСПОРТ

  • Метростанция "СОФИЙСКА СВЕТА ГОРА" на 656 м. (8 мин.) - Линия No: M4
  • Автобусна спирка "РВД" на 359 м. (5 мин.) - Автобус No: 84
  • Летище "Летище София - Терминал 2" на 1.1 км. (14 мин.)
  • ЛЕЧЕБНИ ЗАВЕДЕНИЯ

  • Медицински център "Авио Поликлиника" на 727 м. (9 мин.)
  • ПАЗАРУВАНЕ

  • Хранителен магазин "Аспазия" на 678 м. (9 мин.)
  • Пекарна "Eddy's Bakery" на 325 м. (4 мин.)
  • УСЛУГИ

  • Банка "Банка ДСК" на 524 м. (7 мин.)
  • Банка "Банка ДСК" на 533 м. (7 мин.)
  • Аптека "Subra" на 1.0 км. (13 мин.)
  • Поща/Куриер "DHL" на 661 м. (8 мин.)
  • Поща/Куриер "ПТТС София 40-1540" на 695 м. (9 мин.)
  • ЗАВЕДЕНИЯ

  • Ресторант на 300 м. (4 мин.)
  • Ресторант "Jagerhof" на 526 м. (7 мин.)
  • Кафене "Anytime" на 416 м. (6 мин.)
  • Бар "09-27" на 1.1 км. (14 мин.)
  • СПОРТ И СВОБОДНО ВРЕМЕ

  • Фитнес зала "HealthMedica Sky Gym" на 710 м. (9 мин.)
  • Спортен терен "Детско-юношеска школа на ЦСКА" на 486 м. (6 мин.)
  • Тенис корт на 497 м. (6 мин.)
  • ПРИРОДА И ЗАБЕЛЕЖИТЕЛНОСТИ

  • Парк "Sofia Airport Center Park" на 293 м. (4 мин.)
  • Градина на 445 м. (6 мин.)
  • АВТОМОБИЛНИ УСЛУГИ

  • Паркинг на 235 м. (3 мин.)
  • Бензиностанция "Лукойл" на 660 м. (8 мин.)
  • Зарядна станция "EVLink" на 495 м. (6 мин.)
  • Автомивка на 954 м. (12 мин.)
  • Автосервиз на 549 м. (7 мин.)

Изпратете запитване

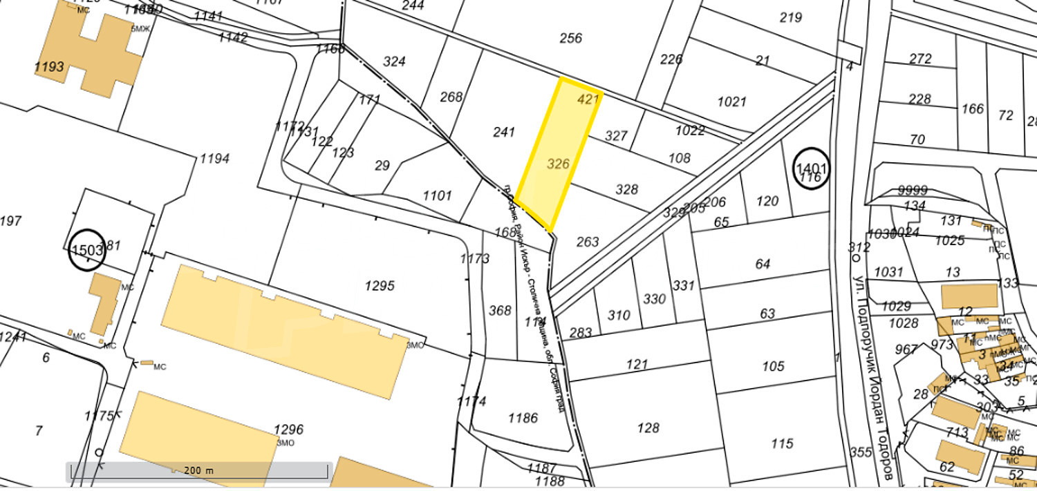
935 740   1 151 680 1 830 148,36 лв.  2 252 490,29 лв.
(260 €/м2)  (508,52 лв./м2) Площ: 3 599.00 м2   
  • $
  • £
Дължима комисиона
ЗА ПОВЕЧЕ ИНФОРМАЦИЯ Реф. номер: Sfa 89719

При обаждане, моля цитирайте референтния номер на имота.

Стойчо Бугов

Стойчо Бугов

Офис София
гр. София, ул. Златен рог 22, ет. 4, офис 7 Всички оферти (105)

Изпратете запитване

Още имоти в кв. НПЗ Искър

Отличен парцел с 50 метра лице на улица в близост до бул. Брюксел
Продажба
Голям парцел между две метростанции - „Софийска Света гора“ и „Летище София“ гр. София , кв. "НПЗ Искър" Отличен парцел с 50 метра лице на улица в близост до бул. Брюксел Голям парцел между две метростанции - „Софийска Света гора“ и „Летище София“ - Отличен парцел с 50 метра лице на улица в близост до бул. Брюксел
1 500 000 (2 933 745 лв.)
(321 €/м2)(627 лв./м2)Площ: 4 679.00 м2
Стойчо Бугов Старши брокер, София
Представителни бизнес-помещения в сграда висок клас
Наем
Лукс
Сграда с луксозни офиси под наем до Летището гр. София , кв. "НПЗ Искър" Представителни бизнес-помещения в сграда висок клас Сграда с луксозни офиси под наем до Летището - Представителни бизнес-помещения в сграда висок клас
от 1 092 (от 2 135,77 лв.)
(9 €/м2)(17,60 лв./м2)Площ: 121.36 - 576.90 м2
Иван Каменов Старши брокер, София
Вижте всички

Още имоти в гр. София

Уникален комплекс, пресъздаващ стила и атмосферата на едноименния парк в Ню Йорк. Най-продаван комплекс за 2022, 2023, 2024 и 2025 г.!
Продажба
ЕксклузивноХит
Central Park - 7 сгради с 12 дка парк. Сгради А, Б и В са с АКТ 16, а Е и Ж - с АКТ 14! гр. София , кв. "Банишора" Уникален комплекс, пресъздаващ стила и атмосферата на едноименния парк в Ню Йорк. Най-продаван комплекс за 2022, 2023, 2024 и 2025 г.! Central Park - 7 сгради с 12 дка парк. Сгради А, Б и В са с АКТ 16, а Е и Ж - с АКТ 14! - Уникален комплекс, пресъздаващ стила и атмосферата на едноименния парк в Ню Йорк. Най-продаван комплекс за 2022, 2023, 2024 и 2025 г.!
от 185 874 (от 363 537,95 лв.)
(2 200 €/м2 - 2 800 €/м2)(4 302,83 лв./м2 - 5 476,32 лв./м2)Площ: 71.49 - 187.57 м2
инж. Иван Крумов Старши брокер, София
Луксозен комплекс с панорамни гледки, топ локация и впечатляващ силует разположен между градската динамика и планината
Продажба
ЕксклузивноХит Лукс
SKY TOWERS by AMur — новият архитектурен символ на София гр. София , кв. "Манастирски ливади" Луксозен комплекс с панорамни гледки, топ локация и впечатляващ силует разположен между градската динамика и планината SKY TOWERS by AMur — новият архитектурен символ на София - Луксозен комплекс с панорамни гледки, топ локация и впечатляващ силует разположен между градската динамика и планината
от 244 894 (от 478 971,03 лв.)
(3 360 €/м2 - 5 688 €/м2)(6 571,59 лв./м2 - 11 124,76 лв./м2)Площ: 65.38 - 314.59 м2
Магдалена Тошева Старши брокер, София
Жилищен проект, създаден за модерен градски живот
Продажба
Ексклузивно Лукс
SYNERA Residence - най-новият комплекс в кв. Манастирски ливади - Изток гр. София , кв. "Манастирски ливади" Жилищен проект, създаден за модерен градски живот SYNERA Residence - най-новият комплекс в кв. Манастирски ливади - Изток - Жилищен проект, създаден за модерен градски живот
от 130 000 (от 254 257,90 лв.)
(2 492 €/м2 - 3 382 €/м2)(4 873,93 лв./м2 - 6 614,62 лв./м2)Площ: 52.17 - 208.03 м2
инж. Даниела Тотева Старши брокер, София
Съвременен дизайн, отлична локация и гъвкави схеми на плащане
Продажба
Ексклузивно Лукс
Нов ексклузивен жилищен проект в София – Corner Park, кв. Сухата река гр. София , кв. "Сухата река" Съвременен дизайн, отлична локация и гъвкави схеми на плащане Нов ексклузивен жилищен проект в София – Corner Park, кв. Сухата река - Съвременен дизайн, отлична локация и гъвкави схеми на плащане
от 152 820 (от 298 889,94 лв.)
(1 850 €/м2 - 2 500 €/м2)(3 618,29 лв./м2 - 4 889,58 лв./м2)Площ: 67.92 - 249.28 м2
Иван Каменов Старши брокер, София
 Съвременен комфорт и инвестиционна сигурност в сърцето на Малинова долина
Продажба
Ексклузивно
Стилен нов проект в Малинова долина – модерно жилище в приятна жилищна зона гр. София , кв. "Малинова долина" Съвременен комфорт и инвестиционна сигурност в сърцето на Малинова долина Стилен нов проект в Малинова долина – модерно жилище в приятна жилищна зона - Съвременен комфорт и инвестиционна сигурност в сърцето на Малинова долина
от 160 872 (от 314 638,28 лв.)
(2 400 €/м2)(4 693,99 лв./м2)Площ: 67.03 - 143.95 м2
Магдалена Цоклинова Старши брокер, София
Последни жилища в нова сграда с Акт 15 и топ локация в кв. Малинова долина
Продажба
ЕксклузивноХит
Апартаменти и надземни гаражи в нова сграда близо до НСА гр. София , кв. "Малинова долина" Последни жилища в нова сграда с Акт 15 и топ локация в кв. Малинова долина Апартаменти и надземни гаражи в нова сграда близо до НСА - Последни жилища в нова сграда с Акт 15 и топ локация в кв. Малинова долина
от 176 400 (от 345 008,41 лв.)
(1 756 €/м2 - 2 500 €/м2)(3 434,44 лв./м2 - 4 889,58 лв./м2)Площ: 70.56 - 113.03 м2
Магдалена Цоклинова Старши брокер, София
Апартаменти с 1, 2 или 3 спални в луксозна 9-етажна сграда
Продажба
За частни лица
Жилища с централна локация на бул. Сливница с Акт 14 гр. София , кв. "Център" Апартаменти с 1, 2 или 3 спални в луксозна 9-етажна сграда Жилища с централна локация на бул. Сливница с Акт 14 - Апартаменти с 1, 2 или 3 спални в луксозна 9-етажна сграда
от 133 656 (от 261 408,41 лв.)
(2 550 €/м2 - 3 180 €/м2)(4 987,37 лв./м2 - 6 219,54 лв./м2)Площ: 42.03 - 170.01 м2
Иванка Стойкова Старши брокер / Мениджър на офис, Бъкстон
Апартаменти с 2 или 3 спални в близост до Витоша и с удобни връзки с центъра на столицата
Продажба
За частни лица
Нова сграда със само 16 апартамента в кв. Манастирски ливади – изток гр. София , кв. "Манастирски ливади" Апартаменти с 2 или 3 спални в близост до Витоша и с удобни връзки с центъра на столицата Нова сграда със само 16 апартамента в кв. Манастирски ливади – изток - Апартаменти с 2 или 3 спални в близост до Витоша и с удобни връзки с центъра на столицата
Двустайни и тристайни апартаменти висококачествено строителство
Продажба
Ексклузивно За частни лица
Луксозен комплекс от две сгради Green View Apartments в кв. Княжево - с АКТ 16 гр. София , кв. "Княжево" Двустайни и тристайни апартаменти висококачествено строителство Луксозен комплекс от две сгради Green View Apartments в кв. Княжево - с АКТ 16 - Двустайни и тристайни апартаменти висококачествено строителство
от 150 000 (от 293 374,50 лв.)
(1 897 €/м2 - 3 400 €/м2)(3 710,21 лв./м2 - 6 649,82 лв./м2)Площ: 68.07 - 268.82 м2
Иванка Стойкова Старши брокер / Мениджър на офис, Бъкстон
Последни налични жилища в най-новите сгради!
Продажба
ЕксклузивноХит
Vitosha View – емблематичен комплекс в кв. Кръстова вада гр. София , кв. "Кръстова вада" Последни налични жилища в най-новите сгради! Vitosha View – емблематичен комплекс в кв. Кръстова вада - Последни налични жилища в най-новите сгради!
от 429 000 (от 839 051,07 лв.)
(2 618 €/м2 - 2 715 €/м2)(5 120,36 лв./м2 - 5 310,08 лв./м2)Площ: 163.89 - 163.89 м2
Магдалена Тошева Старши брокер, София
Последни апартаменти в комплекс със зелени площи и получен Акт 16
Продажба
Лукс
Reina Sofia Residence - висок клас сграда енергиен клас А близо до Зоопарк София и Ловен парк гр. София , кв. "Кръстова вада" Последни апартаменти в комплекс със зелени площи и получен Акт 16 Reina Sofia Residence - висок клас сграда енергиен клас А близо до Зоопарк София и Ловен парк - Последни апартаменти в комплекс със зелени площи и получен Акт 16
от 261 000 (от 510 471,63 лв.)
(3 356 €/м2 - 4 189 €/м2)(6 563,77 лв./м2 - 8 192,97 лв./м2)Площ: 76.31 - 139.88 м2
Магдалена Тошева Старши брокер, София
Нови апартаменти с отлична локация в полите на Витоша
Продажба
За частни лица
Жилищна сграда с две секции до Национална Спортна Академия гр. София , кв. "Малинова долина" Нови апартаменти с отлична локация в полите на Витоша Жилищна сграда с две секции до Национална Спортна Академия - Нови апартаменти с отлична локация в полите на Витоша
от 127 858 (от 250 068,51 лв.)
(2 500 €/м2 - 3 000 €/м2)(4 889,58 лв./м2 - 5 867,49 лв./м2)Площ: 49.75 - 160.33 м2
Иванка Стойкова Старши брокер / Мениджър на офис, Бъкстон
Последни апартаменти с удобна локация в нова сграда качествено строителство
Продажба
ЕксклузивноХит
Нов жилищен проект в кв. Малинова долина с Акт 15 гр. София , кв. "Малинова долина" Последни апартаменти с удобна локация в нова сграда качествено строителство Нов жилищен проект в кв. Малинова долина с Акт 15 - Последни апартаменти с удобна локация в нова сграда качествено строителство
от 310 000 (от 606 307,30 лв.)
(1 863 €/м2 - 2 042 €/м2)(3 643,71 лв./м2 - 3 993,80 лв./м2)Площ: 151.80 - 191.62 м2
Магдалена Цоклинова Старши брокер, София
Апартаменти с 1, 2 и 3 спални в нов комплекс с отлична локация в кв. Младост 4
Продажба
За частни лица
Нови жилища до Бизнес Парк София и метро гр. София , кв. "Младост 4" Апартаменти с 1, 2 и 3 спални в нов комплекс с отлична локация в кв. Младост 4 Нови жилища до Бизнес Парк София и метро - Апартаменти с 1, 2 и 3 спални в нов комплекс с отлична локация в кв. Младост 4
от 219 678 (от 429 652,82 лв.)
(2 350 €/м2 - 2 705 €/м2)(4 596,20 лв./м2 - 5 290,52 лв./м2)Площ: 87.80 - 202.38 м2
Николай Попов Старши брокер, София
Модерен офис с емблематична локация близо до Съдебната палата и метростанция Сердика
Наем
ново
Луксозен офис под наем на ул. Солунска до бул. Витоша гр. София , кв. "Център" Модерен офис с емблематична локация близо до Съдебната палата и метростанция Сердика Луксозен офис под наем на ул. Солунска до бул. Витоша - Модерен офис с емблематична локация близо до Съдебната палата и метростанция Сердика
2 800 (5 476,32 лв.)
(11 €/м2)(21,82 лв./м2)Площ: 251.00 м2
Иван Каменов Старши брокер, София
Нов тристаен апартамент на последен етаж с панорамна гледка
Продажба
ново
Тристаен апартамент в комплекс Мона 4 в кв. Манастирски ливади гр. София , кв. "Манастирски ливади" Нов тристаен апартамент на последен етаж с панорамна гледка Тристаен апартамент в комплекс Мона 4 в кв. Манастирски ливади - Нов тристаен апартамент на последен етаж с панорамна гледка
269 000 (526 118,27 лв.)
(2 861 €/м2)(5 595,22 лв./м2)Площ: 94.03 м2
инж. Даниела Тотева Старши брокер, София
Модерен градски дом до парк и възлови булеварди
Продажба
ново За частни лица
Новострояща се жилищна сграда в кв. Зона Б-19 гр. София , кв. "Зона Б-19" Модерен градски дом до парк и възлови булеварди Новострояща се жилищна сграда в кв. Зона Б-19 - Модерен градски дом до парк и възлови булеварди
Функционално жилище с отличен инвестиционен потенциал
Продажба
ново
Просторен двустаен апартамент с цена без аналог в кв. Малинова долина гр. София , кв. "Малинова долина" Функционално жилище с отличен инвестиционен потенциал Просторен двустаен апартамент с цена без аналог в кв. Малинова долина - Функционално жилище с отличен инвестиционен потенциал
124 000 (242 522,92 лв.)
(1 870 €/м2)(3 657,96 лв./м2)Площ: 66.30 м2
Михаил Кръстев Брокер , София
Светъл тристаен с две спални и две бани на топ локация
Продажба
ново За частни лица
Южен голям тристаен апартамент в кв. Манастирски ливади гр. София , кв. "Манастирски ливади" Светъл тристаен с две спални и две бани на топ локация Южен голям тристаен апартамент в кв. Манастирски ливади - Светъл тристаен с две спални и две бани на топ локация
338 144 (661 352,18 лв.)
(3 200 €/м2)(6 258,66 лв./м2)Площ: 105.67 м2
Кирил Календерски Брокер, София
Луксозен апартамент в сграда с номинация за Сграда на годината 2022 г
Продажба
ново Лукс
Мезонет в топ комплекс до Ловен парк в кв. Дианабад гр. София , кв. "Дианабад" Луксозен апартамент в сграда с номинация за Сграда на годината 2022 г Мезонет в топ комплекс до Ловен парк в кв. Дианабад - Луксозен апартамент в сграда с номинация за Сграда на годината 2022 г
743 942 (1 455 024,08 лв.)
(2 318 €/м2)(4 532,79 лв./м2)Площ: 321.00 м2
инж. Даниела Тотева Старши брокер, София
Начин на живот с перспектива - енергиен клас А, комфорт, устойчивост и инвестиционен потенциал
Продажба
ново За частни лица
Модерен жилищен комплекс с Акт 14 в кв. Витоша гр. София , кв. "Витоша" Начин на живот с перспектива - енергиен клас А, комфорт, устойчивост и инвестиционен потенциал Модерен жилищен комплекс с Акт 14 в кв. Витоша - Начин на живот с перспектива - енергиен клас А, комфорт, устойчивост и инвестиционен потенциал
от 109 362 (от 213 893,48 лв.)
(2 064 €/м2 - 5 000 €/м2)(4 036,83 лв./м2 - 9 779,15 лв./м2)Площ: 49.71 - 153.15 м2
Иванка Стойкова Старши брокер / Мениджър на офис, Бъкстон
Практично решение за паркиране в нова сграда с отлична локация
Наем
ново Ексклузивно За частни лица
Наземен гараж с паркомясто в кв. Малинова долина гр. София , кв. "Малинова долина" Практично решение за паркиране в нова сграда с отлична локация Наземен гараж с паркомясто в кв. Малинова долина - Практично решение за паркиране в нова сграда с отлична локация
Ремонтиран, енергийно ефективен комфортен апартамент с чудесна гледка
Продажба
ново
Слънчев двустаен апартамент с ново обзавеждане в кв. Дружба 2 гр. София , кв. "Дружба 2" Ремонтиран, енергийно ефективен комфортен апартамент с чудесна гледка Слънчев двустаен апартамент с ново обзавеждане в кв. Дружба 2 - Ремонтиран, енергийно ефективен комфортен апартамент с чудесна гледка
173 900 (340 118,84 лв.)
(3 700 €/м2)(7 236,57 лв./м2)Площ: 47.00 м2
Михаил Кръстев Брокер , София
Обзаведено жилище с включени консумативи на ул. „Екзарх Йосиф“
Наем
ново
Едностаен апартамент под наем в центъра на София гр. София , кв. "Център" Обзаведено жилище с включени консумативи на ул. „Екзарх Йосиф“ Едностаен апартамент под наем в центъра на София - Обзаведено жилище с включени консумативи на ул. „Екзарх Йосиф“
560 (1 095,26 лв.)
(12 €/м2)(24,34 лв./м2)Площ: 45.00 м2
Иван Каменов Старши брокер, София
Просторно жилище с възможност за преустройство в един от най-предпочитаните квартали
Продажба
ново Ексклузивно
Тристаен апартамент в кв. Дървеница, София гр. София , кв. "Дървеница" Просторно жилище с възможност за преустройство в един от най-предпочитаните квартали Тристаен апартамент в кв. Дървеница, София - Просторно жилище с възможност за преустройство в един от най-предпочитаните квартали
279 990 (547 612,84 лв.)
(2 687 €/м2)(5 254,90 лв./м2)Площ: 104.21 м2
Даниел Тонев Старши брокер, София
Вижте всички

Изпратете запитване