Изключителна инвестиционна възможност – Поземлен имот в местност „Голеш“, село Хрищени.
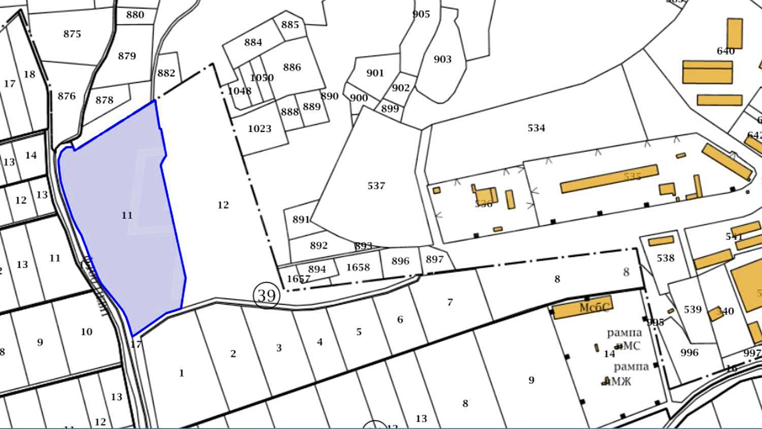
Представяме ви уникална възможност за инвестиция в имот с огромен потенциал – парцел с площ от 26,612 кв. м., разположен в местност „Голеш“ в землището на село Хрищени, в близост до утвърдена индустриална зона и удобни пътни връзки.
Предимства на имота:
• Голяма площ - Подходящ за различни видове промишлено строителство – производствена база, складови помещения, сервиз, логистична база и други бизнес начинания.
• Инфраструктурни предимства:
- Водопровод, преминаващ покрай границата на имота.
- Електропровод, пресичащ терена, осигуряващ лесно бъдещо присъединяване.
- Възможности за водоснабдяване, канализация, газификация – благодарение на близостта до индустриална зона с утвърдена инфраструктура.
• Достъпност - Лице на черен път и близост до асфалтова настилка, осигуряваща удобен транспортен достъп.
• Разположен в непосредствена близост до главни пътни артерии към Стара Загора, Бургас и други стратегически направления.
Защо да изберете този имот?
- Стратегическо местоположение - Районът привлича редица инвеститори благодарение на удобната си връзка с ключови транспортни коридори и индустриалната зона.
- Развитие и растеж - Районът е известен с установени бизнеси в различни сектори, което осигурява благоприятна среда за вашите бъдещи проекти.
- Гъвкаво приложение - Перфектен за широк спектър от промишлени и логистични дейности, благодарение на голямата площ и лесния достъп до комуникации.
Това е вашият шанс да се възползвате от перспективен имот с безкрайни възможности за развитие и устойчив бизнес. Свържете се с нас сега за повече информация и оглед!
Оглед на имота
Можем да организираме оглед на имота в удобно за вас време. За целта, свържете се с отговорния за офертата брокер и му кажете кога бихте искали да направите оглед.
Резервация на имота
Имотът може да бъде резервиран и свален от продажба със заплащане на депозит, след което се прекратява провеждането на огледи с други купувачи и започва подготовка на документите за сключване на предварителен и окончателен договор. Свържете се с отговорния брокер за този имот за подробна информация относно процедурата на покупка и начините за плащане.
Продажба
Парцел земя с голяма площ в район с висок инвестиционен потенциал
Близо до гр. Стара Загора, кв."м-т Голеш"Поземлен имот в района на местност Голеш
Характеристики на имота
Тип на имота
Земя, Земеделска земя, Парцел за инвестиция
Реф. номер
SZ 86186
Площ
26612.00 м2
Състояние
прочетете текста
Отопление
Няма отопление
Двор
не
Климатизация
Няма климатизация
Местоположение
с. Хрищени, Близо до гр. Стара Загора, кв."м-т Голеш"- Най-близко разположен град Стара Загора, около 1.5 км.
Удобства в района
- Детска градина "Детска градина № 33 "Люляк"" на 1.0 км. (13 мин.)
- Детска градина "Детска градина № 68 "Патиланско царство"" на 1.8 км.
- Училище "Начално училище „Зора“" на 1.0 км. (13 мин.)
- Училище "ОУ „Самара“" на 2.2 км.
- Колеж "Институт за повишаване квалификацията на учителите" на 5.9 км.
- Университет "Тракийски университет" на 5.9 км.
- Университет "Тракийски университет" на 9.5 км.
- Болница "МБАЛ "Тракия" - Център" на 3.8 км.
- Болница "Стоматологична поликлиника" на 3.9 км.
- Хранителен магазин "ЕТ "Поли - Таньо Лефтеров"" на 1.6 км.
- Супермаркет на 1.4 км.
- Супермаркет "Lidl" на 1.8 км.
- Пазар "Църковен магазин" на 908 м. (11 мин.)
- Зоо магазин на 2.7 км.
- Мол "Холидей Парк Стара Загора" на 1.7 км.
- Банка "UniCredit Bulbank" на 2.9 км.
- Банка "D Commerce Bank" на 2.9 км.
- Банкомат "UniCredit Bulbank" на 2.9 км.
- Банкомат "D Commerce Bank" на 2.9 км.
- Аптека на 1.4 км.
- Поща/Куриер "Пощенски клон - ПК6011" на 1.2 км. (15 мин.)
- Поща/Куриер "Пощенски клон 9 - ПК 6009" на 2.7 км.
- Химическо чистене "Loriiv" на 4.1 км.
- Фризьорски салон "Black and White" на 3.2 км.
- Салон за красота на 2.7 км.
- Ветеринарен лекар "Амика Вет" на 2.5 км.
- Ресторант "Бистро Аксио" на 1.4 км.
- Ресторант "Lindo" на 2.8 км.
- Бар "Brothers' cafe" на 3.7 км.
- Нощен клуб "Дискотека "Terradance"" на 1.8 км.
- Казино "Magic Club" на 3.7 км.
- Детска площадка "Феникс" на 2.9 км.
- Фитнес зала на 3.3 км.
- Плувен басейн на 1.8 км.
- Спортен терен "Физкултурен салон" на 3.5 км.
- Тенис корт на 4.0 км.
- Театър "Държавна Опера Стара Загора" на 4.3 км.
- Театър "Драматичен театър Гео Милев" на 4.4 км.
- Кино "Promax" на 4.1 км.
- Музей "Къща музей "Гео Милев"" на 3.9 км.
- Музей "Хилендарски метох" на 4.0 км.
- Парк на 1.5 км.
- Градина на 3.5 км.
- Паркинг на 882 м. (11 мин.)
- Бензиностанция "InsaOil" на 730 м. (9 мин.)
- Зарядна станция "FINES Ауди Шоурум" на 836 м. (11 мин.)
- Автомивка на 2.6 км.
- Библиотека "Родина" на 3.7 км.
- Църква "Църква "Свети Паисий Хилендарски" на 1.4 км.
ТРАНСПОРТ
УЧЕБНИ ЗАВЕДЕНИЯ
ЛЕЧЕБНИ ЗАВЕДЕНИЯ
ПАЗАРУВАНЕ
УСЛУГИ
ЗАВЕДЕНИЯ
СПОРТ И СВОБОДНО ВРЕМЕ
ПРИРОДА И ЗАБЕЛЕЖИТЕЛНОСТИ
АВТОМОБИЛНИ УСЛУГИ
ОБЩЕСТВЕНИ СГРАДИ И ИНСТИТУЦИИ
Изпратете запитване
426 000 €
(833 183,58 лв.)
- €
- $
- £
Дължима комисиона
*/ ?>
ЗА ПОВЕЧЕ ИНФОРМАЦИЯ
Реф. номер: SZ 86186
При обаждане, моля цитирайте референтния номер на имота.

Мирослав Караколев
Офис Стара Загора Бизнес Център "Рамини", ул. "Хаджи Димитър Асенов" 87, гр. Стара Загора Всички оферти (185)Изпратете запитване
Вижте още имоти в кв. "м-т Голеш" в град Стара Загора:
- Парцели за инвестиция в кв. "м-т Голеш"
- Апартаменти (различни типове) в кв. "м-т Голеш"
- Къщи в кв. "м-т Голеш"
- Офиси в кв. "м-т Голеш"
- Магазини в кв. "м-т Голеш"
- Земи в кв. "м-т Голеш"
- Всички имоти в кв. "м-т Голеш"
Вижте още имоти близо до град Стара Загора:
Вижте още имоти близо до град Стара Загора: